The Fort Worth Press - La isla estadounidense de Guam se prepara para el impacto del supertifón Mawar

USD -
AED 3.672504
AFN 63.000368
ALL 82.776172
AMD 376.396497
ANG 1.790083
AOA 917.000367
ARS 1391.503978
AUD 1.422273
AWG 1.8025
AZN 1.70397
BAM 1.687271
BBD 2.010611
BDT 122.494932
BGN 1.709309
BHD 0.377087
BIF 2954.923867
BMD 1
BND 1.276711
BOB 6.898158
BRL 5.313404
BSD 0.998318
BTN 93.32787
BWP 13.612561
BYN 3.028771
BYR 19600
BZD 2.007764
CAD 1.37265
CDF 2275.000362
CHF 0.78844
CLF 0.023504
CLP 928.050396
CNY 6.886404
CNH 6.906095
COP 3669.412932
CRC 466.289954
CUC 1
CUP 26.5
CVE 95.125739
CZK 21.149204
DJF 177.768192
DKK 6.457504
DOP 59.25894
DZD 132.24804
EGP 51.758616
ERN 15
ETB 157.330889
EUR 0.862704
FJD 2.21445
FKP 0.749593
GBP 0.749681
GEL 2.71504
GGP 0.749593
GHS 10.882112
GIP 0.749593
GMD 73.503851
GNF 8750.377432
GTQ 7.646983
GYD 208.85994
HKD 7.83525
HNL 26.423673
HRK 6.511304
HTG 130.966657
HUF 339.680388
IDR 16956.2
ILS 3.109125
IMP 0.749593
INR 94.01055
IQD 1307.768624
IRR 1315625.000352
ISK 124.270386
JEP 0.749593
JMD 156.839063
JOD 0.70904
JPY 159.240385
KES 129.327524
KGS 87.447904
KHR 3989.129966
KMF 427.00035
KPW 900.029607
KRW 1505.310383
KWD 0.30657
KYD 0.831903
KZT 479.946513
LAK 21437.260061
LBP 89404.995039
LKR 311.417849
LRD 182.685589
LSL 16.84053
LTL 2.95274
LVL 0.60489
LYD 6.39089
MAD 9.328473
MDL 17.385153
MGA 4162.53289
MKD 53.176897
MMK 2098.81595
MNT 3568.179446
MOP 8.05806
MRU 39.961178
MUR 46.510378
MVR 15.460378
MWK 1731.096062
MXN 17.898204
MYR 3.939039
MZN 63.903729
NAD 16.84053
NGN 1356.250377
NIO 36.733814
NOK 9.569995
NPR 149.324936
NZD 1.712622
OMR 0.384504
PAB 0.998318
PEN 3.451408
PGK 4.309192
PHP 60.150375
PKR 278.721304
PLN 3.69475
PYG 6520.295044
QAR 3.65052
RON 4.401504
RSD 101.324246
RUB 82.822413
RWF 1452.529871
SAR 3.754657
SBD 8.05166
SCR 13.69771
SDG 601.000339
SEK 9.344038
SGD 1.282504
SHP 0.750259
SLE 24.575038
SLL 20969.510825
SOS 570.504249
SRD 37.487504
STD 20697.981008
STN 21.136177
SVC 8.734849
SYP 110.711277
SZL 16.845965
THB 32.908038
TJS 9.588492
TMT 3.51
TND 2.948367
TOP 2.40776
TRY 44.252504
TTD 6.773066
TWD 32.036704
TZS 2595.522581
UAH 43.73308
UGX 3773.454687
UYU 40.227753
UZS 12170.987361
VES 454.69063
VND 26312
VUV 118.849952
WST 2.727811
XAF 565.894837
XAG 0.01471
XAU 0.000222
XCD 2.70255
XCG 1.799163
XDR 0.703792
XOF 565.894837
XPF 102.885735
YER 238.603589
ZAR 17.12748
ZMK 9001.203584
ZMW 19.491869
ZWL 321.999592
La isla estadounidense de Guam se prepara para el impacto del supertifón Mawar
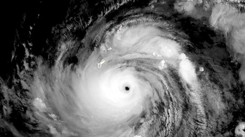
La isla estadounidense de Guam se prepara para el impacto del supertifón Mawar / Foto: © Noaa/Rammb/AFP

La isla estadounidense de Guam se prepara para el impacto del supertifón Mawar

El supertifón Mawar, con vientos potencialmente catastróficos, se dirige directamente a la isla de Guam, territorio de Estados Unidos situado en el Pacífico y puesto militar de crucial importancia.

Tamaño del texto:

Según un informe del Servicio Meteorológico Nacional (NWS, por sus siglas en inglés), Mawar se estaba intensificando hasta convertirse en un supertifón de categoría cinco, con vientos máximos sostenidos de 255 kilómetros por hora.

"Estoy preocupado por la seguridad de nuestra gente. Es la primera tormenta de esta magnitud en 20 años", dijo el gobernador Lou Leon Guerrero.

En su trayectoria actual, Mawar pasará directamente sobre la isla de 170.000 habitantes, desatando lluvias torrenciales e inundaciones extremas. "Se prevé que Mawar se intensifique a lo largo de la noche", dijo el NWS.

A las 04H00 locales del miércoles (18H00 GMT del martes), la tormenta estaba 135 kilómetros al sureste de Guam, con vientos máximos sostenidos de 155 km/h, dijo la oficina del NWS en Guam en una advertencia.

"El paso muy cerca o directamente sobre Guam es inminente", dijo el meteorólogo.

"La triple amenaza del supertifón Mawar son las lluvias torrenciales que pueden provocar deslizamientos de tierra e inundaciones repentinas, vientos catastróficos e inundaciones costeras potencialmente letales", dijo.

Los vientos podrían alcanzar ráfagas de hasta 320 km/h, provocando daños importantes en edificios y casas hechos de materiales livianos.

En las costas, los grandes barcos "podrían ser arrancados de las amarras".

Las autoridades ordenaron la evacuación de las zonas costeras bajas, especialmente en las aldeas del sur propensas a inundaciones, y pidieron a todos que "se refugien inmediatamente" ante los vientos destructivos que se esperan para el miércoles por la mañana.

Unos 21.700 militares estadounidenses y sus familias tienen su base en o cerca de varias instalaciones de Guam, que habitualmente alberga submarinos nucleares de ataque, bombarderos de largo alcance y puestos de escucha electrónica.

Las bases estadounidenses también alojan algunas de las instalaciones de almacenamiento de municiones y combustible más importantes de la región del Pacífico.

Según las previsiones, las precipitaciones podrían provocar deslizamientos de tierra en el centro y el sur de la isla, advirtió el servicio meteorológico.

El presidente de Estados Unidos, Joe Biden, declaró el martes el estado de emergencia para Guam, para que se pueda proporcionar ayuda federal a la isla, según un comunicado de la Casa Blanca.

Alrededor de 60 vuelos hacia y desde Guam programados entre el martes y el jueves fueron cancelados, según el Aeropuerto Internacional A.B. Won Pat.

Se prevé que las condiciones mejoren el jueves.

S.Jordan--TFWP